처음에는 단순히 피곤해서 그런 줄 알았는데, 시간이 지날수록 우리 강아지가 앉았다가 일어날 때 뒷다리를 불편해하고, 계단을 오르내리는 걸 힘들어하는 모습이 보이더라고요. 산책을 나가도 예전처럼 활발하게 달리지 못하고, 앉을 때도 양반다리를 하듯 옆으로 비스듬히 앉는 경우가 많아졌습니다.
많은 보호자분들이 이런 모습을 보고 ‘슬개골 탈구인가?’ 하고 생각하시지만, 실제로 강아지 고관절 이형성증일 가능성이 높습니다. 특히 골든 리트리버, 래브라도 리트리버, 저먼 셰퍼드 같은 대형견을 키우신다면 더더욱 주의가 필요합니다.
오늘은 강아지 관절 질환 중에서 가장 흔하고, 또 평생 관리가 필요한 강아지 고관절 이형성증의 원인과 증상, 치료 방법, 그리고 예방 팁까지 꼭 알아야 할 내용을 풀어보겠습니다.
1) 강아지 고관절 이형성증이란?


강아지 고관절 이형성증은 말 그대로 고관절이 정상적으로 발달하지 못하고 불완전하게 형성되는 질환입니다. 고관절은 골반과 대퇴골(허벅지 뼈)을 이어주는 중요한 관절인데, 성장 과정에서 이 부분이 제대로 맞물리지 않으면 관절이 느슨해지고 마찰이 생기면서 통증과 변형으로 이어집니다.
사람으로 치면 고관절 퇴행성 관절염과 비슷한 개념이라고 생각하면 이해가 쉽습니다.
2) 원인 – 유전과 환경의 복합적인 결과
2.1) 유전적 요인
고관절 이형성증은 상당 부분이 유전적인 요인에서 비롯됩니다. 부모견이 이 질환을 가지고 있으면 새끼 강아지에게도 70~80% 이상 발병할 확률이 있다는 연구가 있습니다. 특히 대형견일수록 유전적 영향을 크게 받습니다.
2.2) 환경적 요인
- 급격한 성장: 생후 6개월~1년 사이에 급격히 몸집이 커지면 관절이 이를 따라가지 못해 변형이 생깁니다.
- 비만: 체중이 늘어나면 관절에 가해지는 하중이 커지면서 고관절 손상이 빠르게 진행됩니다.
- 영양 불균형: 성장기 강아지에게 과도한 칼슘이나 인을 급여하면 뼈 성장이 비정상적으로 빨라져 관절에 무리가 갈 수 있습니다.
- 운동 환경: 미끄러운 마루바닥, 과격한 점프 운동, 잦은 계단 오르내리기는 고관절에 큰 부담을 줍니다.
2.3) 기타 요인
비타민C 결핍, 만성 염증, 호르몬 불균형 등이 원인으로 지목되기도 합니다.
3) 강아지 고관절 이형성증 증상



강아지 고관절 이형성증은 나이와 상관없이 나타날 수 있지만, 보통 4개월~2세 사이에 증상이 드러나기 시작합니다.
- 앉을 때 비스듬히 앉고, 자주 눕고 싶어 한다.
- 계단 오르기를 싫어하고, 언덕에서 잘 못 걷는다.
- 걸을 때 허리를 좌우로 흔들거나 ‘토끼 뜀’처럼 뒷다리를 동시에 튀긴다.
- 산책 후 다리를 절뚝거리거나, 오래 걷지 못한다.
- 뒷다리 근육이 점점 줄어들고, 체중이 앞다리로 쏠린다.
이런 증상이 반복되면 반드시 수의사의 정밀검사를 받아야 합니다. 단순 피로가 아니라면 진행성 질환일 수 있기 때문이죠.
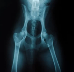
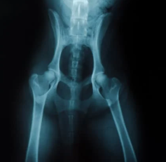
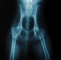
4) 진단 방법
보통 동물병원에서는 엑스레이(X-ray), 초음파, MRI 등을 통해 관절 구조를 확인합니다. 특히 전신마취 후 촬영하는 방사선 사진이 확진에 많이 활용됩니다.
초기에는 증상이 경미해서 보호자가 놓치기 쉽지만, 조기 진단이 곧 치료의 핵심이 됩니다.
5) 치료 방법
5.1) 내과적 치료(비수술적 관리)
- 소염·진통제: 통증을 줄이고 염증을 완화합니다.
- 물리치료: 수중 러닝머신, 마사지, 레이저 치료 등은 관절에 무리를 주지 않으면서 근육을 강화합니다.
- 관절 영양제: 글루코사민, 콘드로이틴, 초록입홍합, 오메가3 등이 대표적이며 관절의 염증 완화와 연골 보호에 도움을 줍니다.
5.2 외과적 치료(수술)
- 대퇴골두 절제술(FHO): 통증을 줄이기 위해 대퇴골두 일부를 제거하는 방법. 소형견·중형견에게 자주 시행.
- 고관절 전치환술(THR): 손상된 관절을 인공관절로 교체하는 방법. 성공 시 정상 보행 가능하나 비용이 300만~500만 원 이상으로 높습니다.
- 골반 절골술: 어린 강아지에서 진행되는 수술로 관절 구조를 재정렬합니다.
👉 수술 여부는 나이, 증상 정도, 체중, 생활 습관에 따라 달라집니다.
6) 예방법 – 보호자가 꼭 지켜야 할 관리 팁
- 체중 관리: 비만은 고관절에 가장 큰 적입니다. 체중이 늘면 질환 진행 속도가 빨라집니다.
- 적절한 운동: 무리한 점프, 계단 운동 대신 수영이나 평지 산책처럼 충격이 적은 운동이 좋아요.
- 환경 개선: 미끄러운 마루에 매트를 깔고, 침대·소파에는 강아지용 계단을 설치하세요.
- 정기검진: 대형견은 성장기부터 정기적인 엑스레이 검사를 받는 것이 안전합니다.
- 영양제 급여: 관절 건강을 돕는 보조제를 꾸준히 먹이면 예방 효과를 기대할 수 있습니다.
7) 개인 경험 – 잠보아 뉴트리페어 후기



저희 아이 ‘자두’는 어릴 때부터 고관절이 약하다는 말을 많이 들었어요. 성장기에 엉덩이를 절뚝거리는 모습도 보이고, 특히 겨울철이면 통증이 심해지는 듯했죠.
그래서 수의사 권유로 관절 영양제를 찾다가 알게 된 게 바로 잠보아 굿바이 조인트페인였어요.
솔직히 여러 브랜드 제품을 써봤지만, 기호성 문제로 금방 안 먹거나, 시간이 지나면 딱딱해져 버리는 경우가 많았거든요. 그런데 조인트페인은 뼈다귀 모양의 말랑한 츄 타입이라서, 자두가 간식처럼 잘 먹고 지금까지 2년 넘게 꾸준히 급여하고 있습니다.
특히 성분을 보면 초록입홍합 추출물, 글루코사민, MSM, 보스웰리아 같은 관절에 특화된 원료들이 들어 있어서, 수술 이후 회복기에도 큰 도움이 됐고 지금은 예전보다 산책도 훨씬 활발해졌어요.
관절 질환은 치료도 중요하지만 결국 꾸준한 관리가 핵심이라는 걸 다시 한 번 느꼈습니다.
결론 – 예방이 최고의 치료
강아지 고관절 이형성증은 단순히 일시적인 다리 절뚝거림이 아니라, 평생 함께해야 할 만성 질환이 될 수 있습니다. 유전적 요인을 막을 수는 없지만, 환경을 관리하고 조기 발견을 통해 진행을 늦출 수 있습니다.
👉 다시 정리하자면,
- 대형견이라면 성장기부터 정기적인 검진을 받을 것
- 체중 관리와 환경 개선은 필수
- 증상이 보인다면 약물·물리치료와 함께 관절 영양제를 병행할 것
- 필요할 경우 수술도 고려해야 한다는 점
우리 아이가 건강하게 오래 뛰어놀 수 있도록, 지금부터 작은 관리라도 실천해 보시는 건 어떨까요?

강아지 치매 증상 보호자가 알아야 할 관리법 총정리
언제나 아기 같던 우리 강아지가 어느덧 노령기에 접어들었나요? 예전처럼 활발하지 않고, 가끔 멍한 모습을 보일 때 '나이가 들어서 그렇겠지' 하고 넘기기 쉽습니다. 하지만 이런 작은 변화가
mypetinfo.co.kr
강아지 중성화 수술 시기와 필요한 이유 7가지
우리 집 막내, 강아지를 데려오고 행복한 나날들! 하지만 어느덧 쑥쑥 자라면서 보호자라면 누구나 한 번쯤 깊은 고민에 빠지게 되죠. 바로 '중성화 수술'입니다. "아플 텐데 꼭 해야 할까?", "우
mypetinfo.co.kr